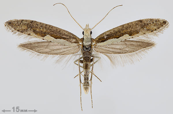
Plutella xylostella (Linnaeus, 1758)
Фото 1. Автор: Лощев С.М.
Красноярский край, Емельяновский р-н, пос. Элита, усадьба, на свет ДРЛ лампы. 2020.05.31. Leg. Лощев С.М.
Красноярский край, Емельяновский р-н, пос. Элита, усадьба, на свет ДРЛ лампы. 2020.05.31. Leg. Лощев С.М.
Классификация
Царство:
Тип:
Класс:
Отряд:
Семейство:
Род:
Вид:
Автор:
Тип:
Класс:
Отряд:
Семейство:
Род:
Вид:
Автор:
Животные
Членистоногие
Насекомые
Чешуекрылые
Серпокрылые моли
Капустные моли
(Linnaeus, 1758)
Членистоногие
Насекомые
Чешуекрылые
Серпокрылые моли
Капустные моли
(Linnaeus, 1758)
−
−
−
−
−
−
−
−
−
−
−
−
−
−
−
Animalia
Arthropoda
Insecta
Lepidoptera
Plutellidae
Plutella
Plutella xylostella
Arthropoda
Insecta
Lepidoptera
Plutellidae
Plutella
Plutella xylostella
Синонимы
-  
-  
Русские названия
-  
-  
Распространение
Общая География
Страны
Регионы России
01 - Калининградский; 02 - Кольский; 03 - Карельский; 04 - Европейский Северо-Западный; 05 - Ненецко-Новоземельский тундровый; 06 - Европейский Северо-Восточный; 07 - Европейский южно-таежный; 08 - Европейский Центральный; 09 - Европейский Центрально-Черноземный; 10 - Средне-Волжский; 11 - Волго-Донской; 12 - Нижне-Волжский; 13 - Западно-Кавказский; 14 - Восточно-Кавказский; 15 - Крымский; 16 - Средне-Уральский; 17 - Южно-Уральский; 18 - Нижне-Обский; 19 - Средне-Обский; 20 - Южно-Западно-Сибирский; 21 - Северо-Енисейский; 23 - Пред-Алтайский; 24 - Горно-Алтайский; 26 - Пред-Байкальский; 28 - За-Байкальский; 34 - Камчатский; 36 - Средне-Амурский; 37 - Нижне-Амурский; 38 - Сахалинский; 39 - Южно-Курильский; 40 - Приморский. Локальная География
Красноярский край
Районы: Емельяновский. Республика Хакасия
Районы: Республика Тыва
Кожууны: ООПТ
Страны
Регионы России
01 - Калининградский; 02 - Кольский; 03 - Карельский; 04 - Европейский Северо-Западный; 05 - Ненецко-Новоземельский тундровый; 06 - Европейский Северо-Восточный; 07 - Европейский южно-таежный; 08 - Европейский Центральный; 09 - Европейский Центрально-Черноземный; 10 - Средне-Волжский; 11 - Волго-Донской; 12 - Нижне-Волжский; 13 - Западно-Кавказский; 14 - Восточно-Кавказский; 15 - Крымский; 16 - Средне-Уральский; 17 - Южно-Уральский; 18 - Нижне-Обский; 19 - Средне-Обский; 20 - Южно-Западно-Сибирский; 21 - Северо-Енисейский; 23 - Пред-Алтайский; 24 - Горно-Алтайский; 26 - Пред-Байкальский; 28 - За-Байкальский; 34 - Камчатский; 36 - Средне-Амурский; 37 - Нижне-Амурский; 38 - Сахалинский; 39 - Южно-Курильский; 40 - Приморский. Локальная География
Красноярский край
Районы: Емельяновский. Республика Хакасия
Районы: Республика Тыва
Кожууны: ООПТ
Дополнительная информация
Примечания
РаспространениеПо непонятным причинам в Каталоге Чешуекрылых 2019 г. вид Серпокрылой моли (Plutella xylostella) не отмечен для Красноярского края и Республики Хакасия (регион 22) . Мы постарались восполнить этот пробел. Достоверные точки находок приводятся в статье по Микролепидоптера нашего региона (Akulov et al., 2018) "Material. Krasnoyarsk Territory. Krasnoyarsk, Akademgorodok, to light, 28.V.2001 (ENA), 1 ♂; Ermakovsky Distr., env. of Ermakovskoe, forest nursery, 17.IV.2009 (ENA), 1 ♂. Khakassia. Shirinsky District, Chernoe Ozero, steppe, roadside, 27.VII. 2000, 12.VII.2001 (ENA), 1 ♂, 1 ♀; 22.VIII.2000 (VMP), 2 ♀". Ну и наша находка в Емельяновском районе.
Источники
- Akulov E.N., Kirichenko N.I., Ponomarenko M.G. Contribution to the Microlepidoptera Fauna of the South of Krasnoyarsk Territory and the Republic of Khakassia. Entomological Review, 2018, Vol. 98, No. 1, pp. ???–???.
- Аникин В.В., Барышникова Е.А. и др. Каталог чешуекрылых (Lepidoptera) России. Под редакцией Синёва С.Ю. 2019.
- Лощев С.М. Коллекция бабочек. Красноярск.